close

Developments more forward thanks to Peters Township Council approvals

4 min read
article image -

Two residential developments proposing a total of 117 new homes have received various approvals from Peters Township Council.

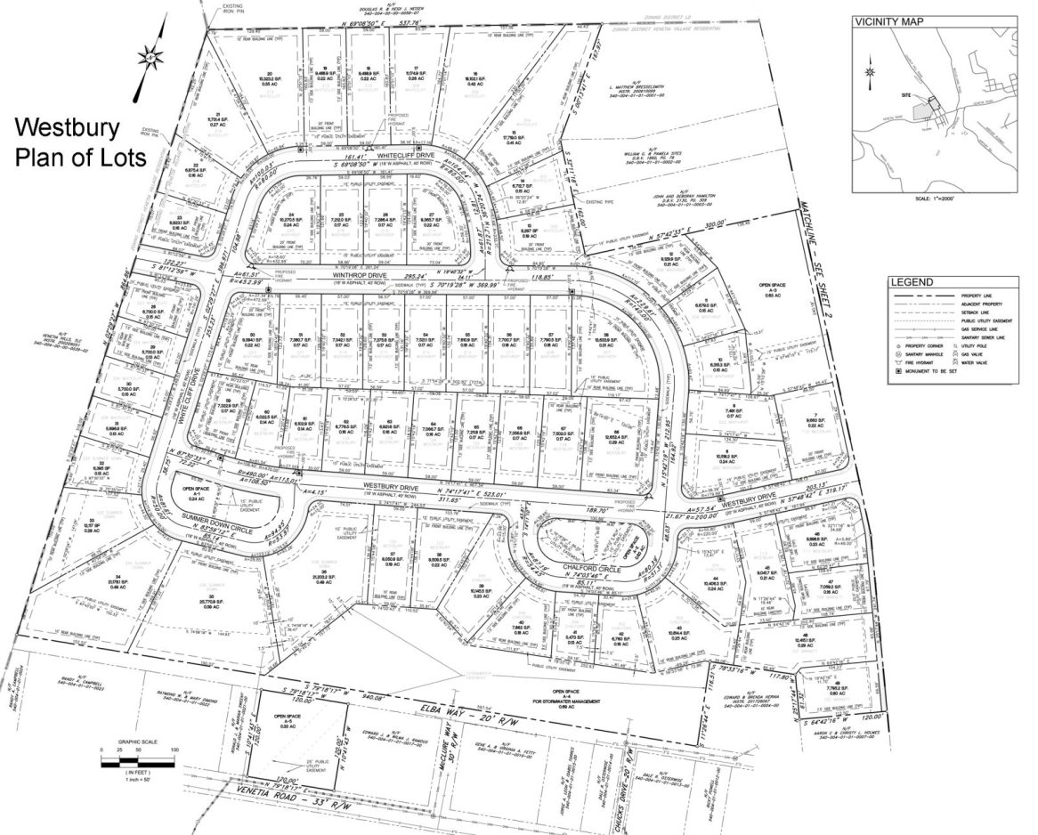
On Dec. 16, council voted unanimously in favor of the final plan and a related lot consolidation plan for Westbury, a 69-lot development on approximately 26 acres in the township’s Hackett neighborhood.

Also approved was the preliminary plan for Pemerley Manor, calling for a mix of 48 single-family and patio homes on 30 acres bordered by Sugar Camp and Froebe roads and Peterswood Park. The vote was 6-1, with council member Frank Arcuri voting against the measure.

Ed Zuk, township planning director, said the Westbury property is zoned Village Residential.

“It takes on the character of that area,” he said. “There are smaller lots, more of a neotraditional-type that’s being designed here.”

Hackett, on the township’s eastern end, mainly contains older homes that tend to be less ostentatious than in other parts of Peters.

The Westbury residences, to be built by Ryan Homes, are expected to sell in the mid- to high $300,000 range.

The price range prompted council member Monica Merrell to express concern about the township’s stated intent to help provide what she said is “housing that would be accessible for seniors who want to downsize and younger people who grew up here, and people who want to stay.”

“To be honest with you, I haven’t seen anything like that in the developments that have come through,” she said.

Township manager Paul Lauer agreed that, in his opinion, such figures seem to be on the expensive side.

“The fact of the matter is, in the market in Peters Township, houses in this price category are in the lower end and, from the Peters Township standpoint, are affordable,” he said.

“I think it’s really a reflection of two things. One, development costs in Peters Township are high. Raw land is high in Peters Township, to start with,” Lauer said. “The second thing is, this is perceived to be a very desirable community to live in. And so I think if you’re a developer and a builder, you can afford to charge more and people are willing to pay that.”

Patrick Cooper of Gateway Engineers, representing Pemerley Manor developer Maronda Homes Inc. at the council meeting, concurred with Lauer’s assessment.

“With the cost of this land and cost of construction, these homes will be very expensive,” Cooper said.

Lauer pointed out to council with Pemerley’s proximity to Peterswood Park, the township is an adjacent property owner.

“When this property was planned to be developed, the township’s interest was to see an extension on Bruni Drive from where it terminates right now down to Sugar Camp Road,” he said, noting other developers attempted to come up with plans to help provide a third point of access to the park, along with the two ends of Meredith Drive, for emergency purposes.

Lauer credited Maronda and Gateway for arriving at a solution.

“They were the first ones to be able to devise a plan that met that need without at the same time having houses on either side of that road,” he said. “We never wanted to see traffic from the park have to pass through a housing plan.”

Bruni will extend from Sugar Camp to provide access to a pair of cul-de-sacs serving Pemerley Manor homes before effectively terminating at the Peterswood Park line.

“It will not be a public road,” Lauer said. “It will be a private drive, and we’ll have complete control over whether it’s open or closed.”

The final plan for Pemerley Manor is expected to come before council for approval early in 2020.

Courtesy of Peters Township

Westbury plan

CUSTOMER LOGIN

If you have an account and are registered for online access, sign in with your email address and password below.

NEW CUSTOMERS/UNREGISTERED ACCOUNTS

Never been a subscriber and want to subscribe, click the Subscribe button below.

Starting at $3.75/week.

Subscribe Today